Обяви 0 За нас Контакти
Продава ПАРЦЕЛ
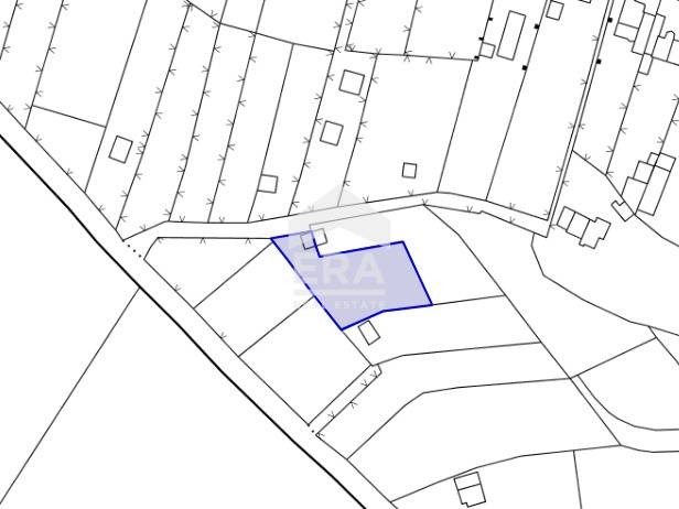
град Хасково, в.з. Хасково
19 684.74 €
38 500 лв.

(32.21 €, 63 лв./m2)
Цената е с включено ДДС
История на цената
Коригирана в 13:16 на 30 април, 2026 год.
Обявата е посетена 715 пъти.
Площ:
608 m2
Вода:
ДА

Описание на имота:


Ера имоти Хасково предлага за продажба равен парцел в един от най -атрактивните райони на Хасково а именно кв.,,Кенана,, .Парцела е с площ 608 кв. Не попада по параграф 4.
В имота има сонда и в близост има трафопост, което улеснява прекарването на ток. Парцелът е подходящ за изграждане на еднофамилна къща.

Всеки един имот е лично заснет и посетен от наш консултант.
ЕРА Е РЕГИСТРИРАН КЪМ БНБ КРЕДИТЕН ПОСРЕДНИК И КАТО ТАКЪВ ОФИЦИАЛНО ПРЕДОСТАВЯ ВСИЧКИ ВИДОВЕ КРЕДИТИ КЪМ ВСИЧКИ БАНКИ.

Оферта 6800580
Особености
За жил.строителство
За контакт:
0895009115
Агенция:
ЕРА-ХАСКОВО
0889261559
ЕРА-ХАСКОВО logo
В imot.bg от 2023 г.
erahaskovo.imot.bg
Адрес:
област Хасково, гр. Хасково, бул.,,Г.С.Раковски,,9
http://www.era.bg
ИЗПРАТИ ЗАПИТВАНЕ
ИЗПРАТИ ЗАПИТВАНЕТО

Продава ПАРЦЕЛ
град Хасково, в.з. Хасково
Обява: 1r176614801647166

19 684.74 €
38 500 лв.
История на цената
(32.21 €, 63 лв./m2)

Цената е с включено ДДС
ЗАПАЗИ ОБЯВАТА

Местоположение: град Хасково, в.з. Хасково

Допълнителни данни за имотите в района и сравнение с други райони

Покажи

Период

и 5 месеца

* Средните цени са определени чрез медианна стойност